Die Stadtverordnetenversammlung der Stadt Cottbus/Chóśebuz hat am 26.01.2022 die Aufstellung des Bebauungsplans „Kolkwitzer Straße Süd 1“ und die damit verbundene Änderung des Flächennutzungsplanes (FNP) beschlossen. Die Aufstellung bzw. Änderung der Bauleitpläne soll die planungsrechtlichen Zulässigkeitsvoraussetzungen für die Entwicklung eines Wohngebietes schaffen.
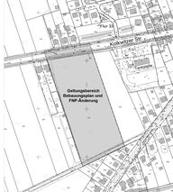
Der räumliche Geltungsbereich des Bebauungsplanes befindet sich in der Gemarkung Ströbitz südlich der Kolkwitzer Straße, westlich der Tankstelle. Er hat eine Größe von ca. 2,3 ha und umfasst folgende Flurstücke:
Flur 31, Straßenflurstück 245 (teilweise, Klein Ströbitzer Straße)
Flur 32, Flurstücke 340 und 342
Flur 32, Straßenflurstücke 350 und 351 (jeweils teilweise, Kolkwitzer Straße
Der rechtsgültige FNP der Stadt Cottbus/Chóśebuz stellt das Areal als Mischbaufläche dar. Da Bebauungspläne aus dem FNP zu entwickeln sind und die aktuelle städtebauliche Zielstellung die Entwicklung eines Wohngebietes vorsieht, ist der FNP für den betroffenen Teilbereich gemäß § 8 Abs. 3 Baugesetzbuch (BauGB) parallel zur Aufstellung des Bebauungsplanes zu ändern.
Gemäß § 3 Abs. 1 BauGB soll die Öffentlichkeit frühzeitig über die allgemeinen Ziele und Zwecke der Planaufstellung sowie deren voraussichtliche Auswirkungen unterrichtet werden und Gelegenheit zur Äußerung und Erörterung erhalten. Auf Grundlage von § 3 Abs. 1 des Planungssicherstellungsgesetzes (PlanSiG) wird die frühzeitige Beteiligung der Öffentlichkeit in Form der Veröffentlichung der Planungsdokumente im Internet durchgeführt.
Daher wird der Vorentwurf des Bebauungsplans „Kolkwitzer Straße Süd 1“ sowie der Vorentwurf der FNP-Änderung nebst jeweils zugehöriger Begründung für den Zeitraum vom 02.05.2022 bis einschließlich 09.05.2022 im Internet an dieser Stelle zur Einsichtnahme bereitgestellt.
Während dieses Zeitraums können zu den Unterlagen Stellungnahmen abgegeben werden. Diese sind spätestens bis 11.05.2022 (Posteingang) an den Fachbereich Stadtentwicklung der Stadtverwaltung Cottbus/Chóśebuz, Technisches Rathaus, Karl-Marx-Straße 67 in 03044 Cottbus zu schicken. Ferner besteht die Möglichkeit der Abgabe von Stellungnahmen per E-Mail an die Adresse: Bauplanung@cottbus.de .
Die Verarbeitung personenbezogener Daten erfolgt auf Grundlage des § 3 BauGB in Verbindung mit Art. 6 Abs. 1 Buchst. e Datenschutz-Grundverordnung (DSGVO) und dem Brandenburgischen Datenschutzgesetz (BbgDSG). Sofern Sie Ihre Stellungnahme ohne Absender abgeben, erhalten Sie keine Mitteilung über das Ergebnis der Abwägung.
Weitere Informationen entnehmen Sie bitte dem Formblatt ‧ PDF ‧ 47.58 KByte ‧ 31.01.2019 Informationspflichten bei der Erhebung von Daten im Rahmen der Öffentlichkeitsbeteiligung nach BauGB (Art. 13 DSGVO).
Die Unterlagen zur Beteiligung stehen hier zum Download zur Verfügung:
- Vorentwurf Bebauungsplan (Planzeichnung) ‧ PDF ‧ 7.23 MByte ‧ 29.04.2022
- Begründung zum Vorentwurf des Bebauungsplanes ‧ PDF ‧ 1008.71 KByte ‧ 29.04.2022
- Beschreibung des Umweltzustandes ‧ PDF ‧ 1.34 MByte ‧ 29.04.2022
- Gestaltungsplan ‧ PDF ‧ 1.06 MByte ‧ 29.04.2022
- Vorentwurf 11. Änderung FNP (Planzeichnung) ‧ PDF ‧ 32.55 MByte ‧ 29.04.2022
- Begründung zum Vorentwurf der 11. Änderung des FNP ‧ PDF ‧ 285.77 KByte ‧ 29.04.2022